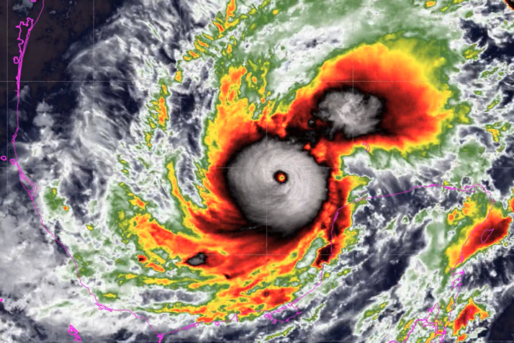
El huracán Milton se posiciona como una de las tormentas más intensas registradas en los últimos años, superando a muchas de sus contrapartes en la región.
October 8, 2024
October 7, 2024