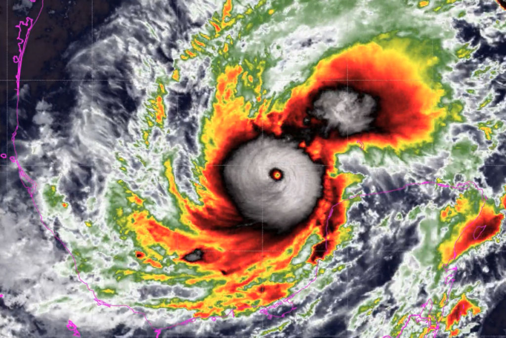
El huracán Milton se posiciona como una de las tormentas más intensas registradas en los últimos años, superando a muchas de sus contrapartes en la región.

Milton alcanzó vientos devastadores de 290 km/h el 7 de octubre de 2024, con una presión atmosférica que cayó a 897 milibares.

Hasta la fecha, sólo cinco huracanes en el Atlántico han sido más fuertes que Milton:

– Huracán del Día del Trabajo (1935): 306 km/h
– Huracán Allen (1980): 306 km/h
– Huracán Dorian (2019): 298 km/h
– Huracán Wilma (2005): 298 km/h
– Huracán Gilbert (1988):  298 km/h

En su punto máximo, Milton se convirtió en la tormenta más fuerte del planeta en 2024, superando incluso a los tifones más intensos del Pacífico Occidental. La presión de Milton, se acerca a un nivel casi récord, convirtiéndolo en una tormenta peligrosa. Desde 1979, sólo tres huracanes han registrado presiones más bajas: Wilma (883 milibares), Gilbert (888 milibares) y Rita (895 milibares).

Se estima que huracanes con vientos superiores a 250 km/h pueden causar daños severos a estructuras, derribar árboles y provocar inundaciones. Con su velocidad actual, Milton podría generar enormes olas y marejadas ciclónicas peligrosas en áreas costeras lo que hace que el impacto potencial de Milton podría ser devastador. 

Milton se formó como tormenta tropical a finales de septiembre de 2024 en las cálidas aguas del Atlántico, lo que favoreció su rápida intensificación. Desde el 6 de octubre, ha mostrado una intensificación explosiva que ha alarmado a los meteorólogos del Centro Nacional de Huracanes (NHC), quienes continúan monitoreando su trayectoria. Se prevé que el huracán se desplace hacia el noroeste, lo que podría amenazar a áreas pobladas en la costa este de Estados Unidos.

Investigaciones recientes han señalado que el calentamiento global está relacionado con un aumento en la intensidad de los huracanes. Estudios publicados en revistas científicas como Nature evidencian que las altas temperaturas del océano alimentan estos sistemas climáticos. 

A pesar de una calma prolongada durante agosto y septiembre, la temporada de huracanes de 2024 ha demostrado ser excepcional, con Milton destacándose como la tormenta más poderosa hasta la fecha, superando incluso a otras tormentas como Beryl.

A medida que Milton avanza, el mundo observa con preocupación la trayectoria de esta tormenta histórica, que promete dejar una huella imborrable en la historia de los huracanes.

Huracán Milton se aproxima a Florida y golpeará Tampa Bay en pocas horas