Skip to content
Toggle navigation
Power & Policy
U.S.
Immigration & Rights
Mundo
LatAm
Business
Tech
Culture
Sports
Watch
Search
Search for:
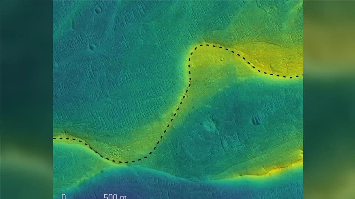
Enormes ríos fluyeron por Marte hace millones de años
Estados Unidos.
Noticias Recientes
Aceptar