Estados Unidos. Un estudio realizado por miembros de la Universidad de Chicago ha sugerido que los ríos que recorrían Marte eran mucho más extensos y poderosos que cualquiera de los que existen en el planeta Tierra.

Los científicos aseguran que estos poderosos ríos del planeta rojo se secaron más tarde de lo que originalmente se creía hasta los momentos.

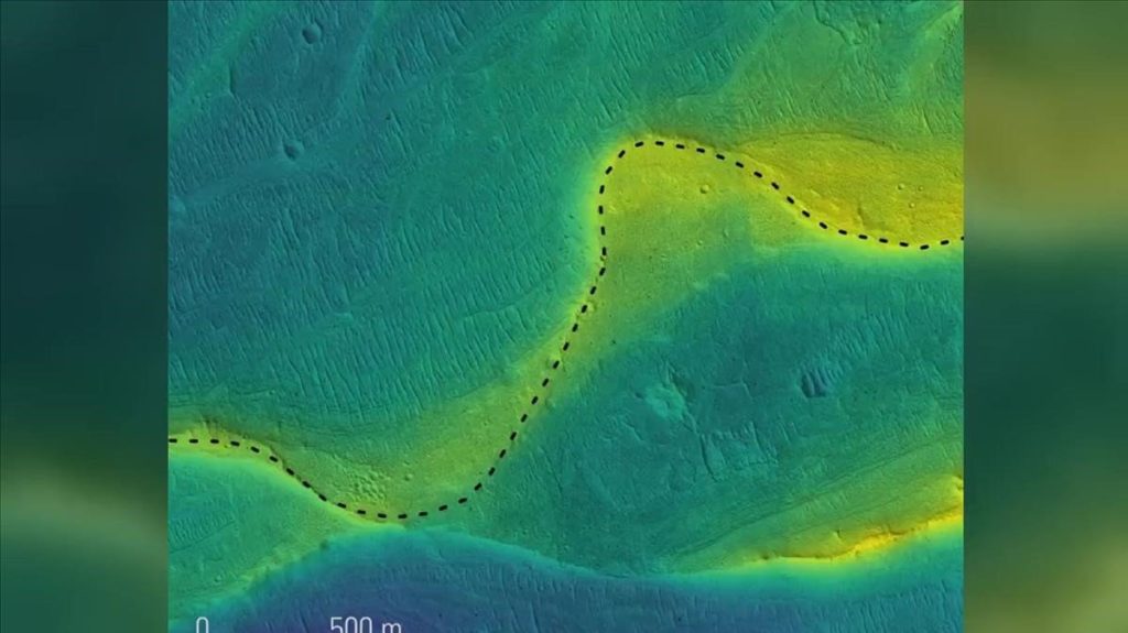
El estudio fue publicado en la revista Science Advances el pasado 27 de marzo, tras el análisis de cientos de fotografías capturadas por la misión “rover” Curiosity de la Administración Nacional de la Aeronáutica y del Espacio (NASA). Las imágenes mostraban los cauces muertos así como las piedras erosionadas por las fuertes corrientes de agua.

Los científicos manifestaron que por cientos de lugares de ese planeta miles de ríos fluyeron de manera continua por millones de años.

Comparado con la Tierra, Marte recibe apenas un tercio de la luz del Sol, por eso los científicos no se explican cómo podía mantener tanta agua en estado líquido.

Uno de los motivos que los científicos han considerado es la existencia de fuertes gases de efecto invernadero, que habrían contribuido a mantener temperaturas suficientemente elevadas para que los ríos se congelaran.